Tin360
Nhịp sống 24h
Trang chủ
Thời sự
Thời sự
Điểm tin
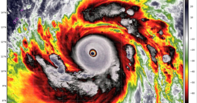
Siêu bão Sinlaku mạnh nhất thế giới từ đầu năm tiến về phía Nhật Bản
Y học chính xác: Đột phá mới trong chẩn đoán và điều trị ung thư
Tín dụng đen: Hai thanh niên rải tờ rơi cho vay bị bắt tại Đồng Tháp
Lẩu gà Mạc thị gây sốt, chủ quán kiệt sức vì quá tải
Thế giới
Nhịp sống 24h
Nhịp sống 24h
Giải trí
Sống khoẻ
Đọc & Ngẫm
Chôn siêu xe 4,2 tỷ đồng theo người quá cố: Đám tang gây xôn xao tại Trung Quốc
Sét hòn: Quả cầu lửa kỳ bí xuất hiện bất ngờ và biến mất trong tích tắc
Nam thanh niên ở TPHCM suýt mất mạng vì tự chữa chảy mũi, biến chứng hiếm gây hủy xương trán
Mỡ nội tạng và 4 cách giảm không cần nhịn ăn
Video
PFC Sochi
Nhịp sống 24h
20/06/20, 15:58
Thua 1-10 vì thiếu 6 cầu thủ đội một bị nhiễm Covid-19
Tin Mới Nhất Về "PFC Sochi"
End of content
No more pages to load
Xem Thêm
Tin Mới Đăng
Thời sự
12/04/26, 21:40
Quần đảo Chagos: Anh ngừng trao trả cho Mauritius do áp lực từ ông Trump
Điểm tin
12/04/26, 21:35
Võ Hoàng Thành: Sự nhanh trí của nam sinh cứu người tại Nghệ An
Thời sự
12/04/26, 17:55
Nguyễn Anh Tuấn: Diễn biến vụ tài xế taxi hành hung vợ chồng hành khách tại Nghệ An
Thời sự
12/04/26, 15:10
Mô hình trồng rêu: Hy vọng thoát nghèo cho người dân Y Tý
Đọc & Ngẫm
12/04/26, 12:14
Chôn siêu xe 4,2 tỷ đồng theo người quá cố: Đám tang gây xôn xao tại Trung Quốc
Thế giới
12/04/26, 12:06
Eo biển Hormuz: Ba siêu tàu chở dầu thông tuyến sau lệnh ngừng bắn
Thời sự
12/04/26, 08:51
Công an xã Thái Mỹ bắt giữ nhóm cướp xe máy của người dân
Nhịp sống 24h
12/04/26, 00:03
Sét hòn: Quả cầu lửa kỳ bí xuất hiện bất ngờ và biến mất trong tích tắc
Thời sự
11/04/26, 21:56
Hài cốt liệt sỹ: tìm thấy 2 bộ hài cốt kèm nhiều di vật tại Quảng Trị
Thời sự
11/04/26, 16:16
Tài xế taxi tấn công hành khách bằng gạch sau mâu thuẫn tại Nghệ An
Kết nối Tin360.TV trên FB
x